İlan karşılaştırması yapabilmeniz için en az 2 adet ilan seçmeniz gerekmektedir.


Kapat

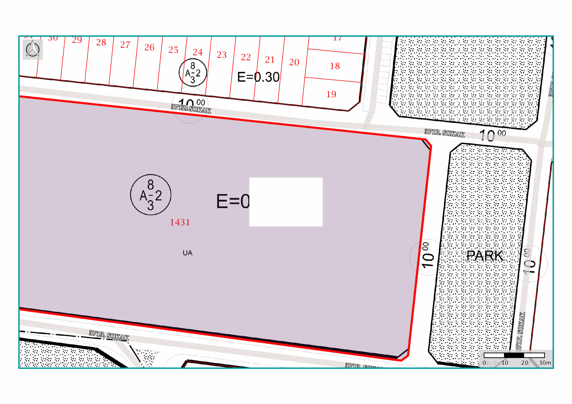
SÜLEYMANPAŞA KARA EVLİ DE TRİBLEKS İMARLI YATIRIMLIK KONUT İMARLI ARSA

Büyült
1.520.000
Satılık
İlan No91240
Eklenme Tarihi12.10.2025
KategoriArsa
İlan TipiSatılık
Fiyat 1.520.000
Metre Kare (m²) 149
Krediye Uygun Evet
Takas Hayır
Parsel No 1431
İmar Durumu Konut
Tapu Durumu Mustakil Parsel

İlan Açıklaması

SÜLEYMENPAŞA KARAEVLİ MAHALLESİNDE MÜSTAKİL TAPULU 

AYRIK NİZAM, 2 KAT, E: 0.30 TRİBLEKS MESKEN İMARLI 149 M2 ARSA 

YATIRIMCI İÇİN GELECEKTEDE DEĞER KAZANAN BİR BÖLGEDE 

KADASTROL YOLA CEPHELİ 

Özellikler

Altyapı
Elektrik
Su
Yolu Açılmış
Konum
Denize Yakın
Toplu Ulaşıma Yakın
Genel Özellikler
Parselli
Yolu Açılmış
Manzara
Doğa
+90 282 651 76 76

turvagayrimenkul.com, Tüm Hakları Saklıdır.

Google LogoÇeviri tarafından desteklenmektedir
Google LogoÇeviri tarafından desteklenmektedir